Skip to content

Généralités

La noctuelle de la betterave (Spodoptera exigua) est devenue un problème récurrent pour les horticulteurs étant donné qu’elle résiste à presque tous les insecticides et au vu de sa capacité à se développer pendant l’été dans la végétation sauvage. C’est une espèce très polyphage qui se nourrit de plus de 20 familles de plantes. Elle est très nuisible aux cultures sous serre où elle ravage les plantes ornementales comme les chrysanthèmes, gerberas, rosiers et les plantes en pot. Les cultures de poivrons semblent les plus sensibles aux fortes infestations, sous abri comme en extérieur.

Solutions biologiques pour les Noctuelle de la betterave

Filtres:
Effacer tous les filtres
Afficher tout Montrer moins
produits trouvés:

Vous avez des questions ou besoin d'aide ?

Trouver un revendeur

En savoir plus à propos

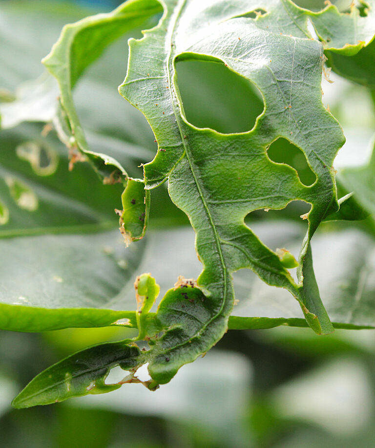
Dégâts et symptômes

Les chenilles plus âgées migrent vers l’apex des plantes où elles se nourrissent principalement des pousses en croissance. Elles forment de grands trous dans la feuille et ne laissent parfois derrière elles que les nervures. Elles s’attaquent également aux fleurs et aux bourgeons. Les dégâts provoqués affectent considérablement la croissance des plantes. Lors de fortes infestations, les dommages peuvent s’étendre aux tiges et, dans le pire des cas, aux fruits que les chenilles consomment entièrement de l’intérieur. En cultures ornementales, les pertes sont très importantes lorsqu’elles s’attaquent aux fleurs et aux bourgeons.

Cycle de développement et caractères morphologiques de la noctuelle de la betterave

La noctuelle de la betterave (Spodoptera exigua) est petite et discrète. Elle se cache durant la journée et n’est active que pendant la nuit. Les ailes antérieures sont gris-marron et imprégnées de brun foncé ou de noir. La tête et le thorax sont marron et l’abdomen gris-marron. Les ailes antérieures présentent un motif jaunâtre, réniforme. Les ailes postérieures, blanches, ont une nervation clairement visible, soulignée de marron.

Chez la noctuelle de la betterave (Spodoptera exigua), les œufs sont pondus en paquets, quelquefois sur plusieurs couches, et recouverts d’une masse de poils blancs cotonneux et d’écailles du corps de l’adulte. Ils sont habituellement gris, parfois verdâtres ou rosâtres, et pondus durant la nuit, de préférence dans les parties basses des cultures, à la face inférieure des feuilles, en groupes de 10 à 250.

L’éclosion a lieu après plusieurs jours, révélant de petites chenilles d'une couleur jaune-vert grisâtre. Leur couleur passe du jaune au vert, puis au marron ou même au noir. Leurs couleurs et leurs dessins sont très variables et dépendent partiellement de la plante hôte, du stade de développement et du climat. À la fin de son développement, la chenille (Spodoptera exigua) mesure entre 25 et 38 mm de long et arbore des lignes foncées sinueuses sur la face dorsale ainsi qu’une bande jaune de chaque côté du corps. Chaque segment présente un point noir sur son dessus.

Les jeunes chenilles vivent en groupe et tissent des toiles isolées sur les feuilles sous lesquelles elles restent cachées jusqu’au troisième ou quatrième stade. Les chenilles plus âgées sont très actives et peuvent parcourir des distances considérables. Ainsi, les chenilles d’une même ponte peuvent endommager la culture à divers endroits. La noctuelle de la betterave (Spodoptera exigua) se nourrit principalement la nuit et se cache durant la journée, bien que les jeunes stades se nourrissent le jour. À la fin de leur développement, les chenilles se dirigent vers le sol et se préparent pour se nymphoser. Bien que la nymphose ait parfois lieu au sein même de la culture, cela se passe généralement à la surface du sol dans un cocon constitué de particules du sol, collées les unes aux autres par une sécrétion gluante. Les nymphes sont marron, mesurent entre 15 et 20 mm de long et ressemblent à celles des autres noctuelles. Après cinq à dix jours, la noctuelle adulte émerge.

Besoin d'aide ?